Braga repõe via dupla na Rua de São Martinho a partir desta segunda-feira

A reposição da via dupla no final da Variante de Real com a Rua de São Martinho vai ser efetuada, entre as 20h00 e as 03h00 desta segunda-feira.
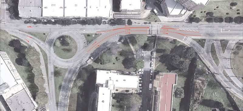
O Município de Braga informou que a reposição da via dupla no final da Variante de Real com a Rua de São Martinho será executada esta segunda-feira, entre as 20h00 e as 03h00.
A intervenção consiste na alteração da sinalização horizontal, permitindo que a via passe a ter duas faixas após a rotunda das Parretas. Nesse sentido, a faixa da direita passa a destinar-se aos veículos que se dirigem para a António Macedo, enquanto a faixa da esquerda será utilizada para acesso ao centro da cidade.
